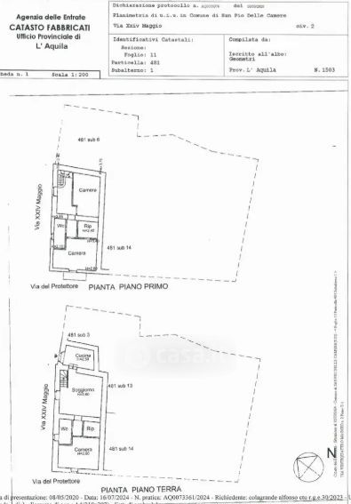
Appartamento in vendita Via XXIV Maggio , San Pio delle Camere
Salva
Casa.it
1/32
  • Street View
  • Map