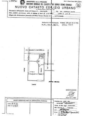
Appartamento in vendita Via Nicola Lombardi , Catanzaro
Salva
Casa.it
1/38
  • Street View
  • Map