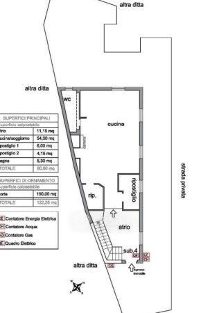
Appartamento in vendita Via Aia 11, Soverato
Salva
Casa.it
1/20
  • Street View
  • Map