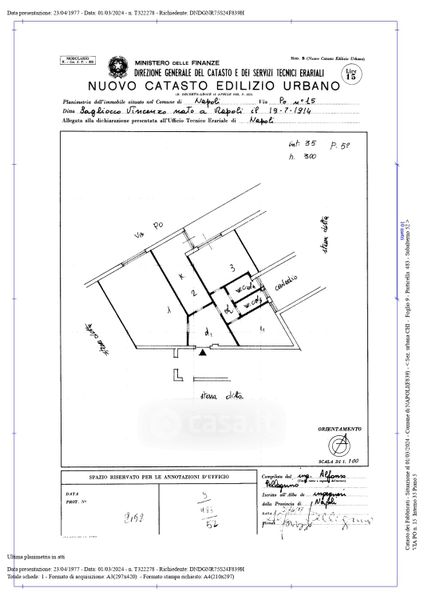
Appartamento in vendita Via po 15, Napoli
Salva
Casa.it
1/55
  • Street View
  • Map