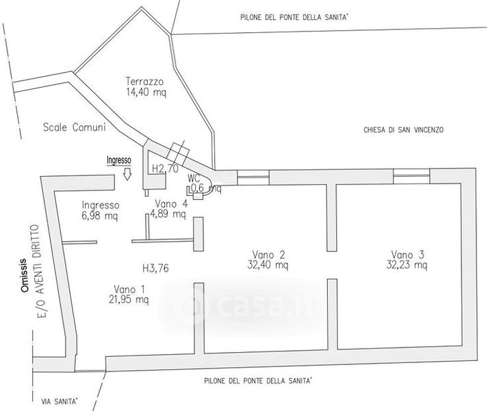
Appartamento in vendita Via Sanità , Napoli
Salva
Casa.it
1/14
  • Street View
  • Map