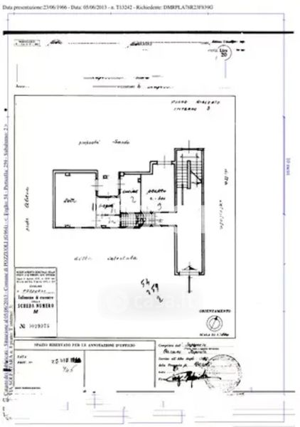
Appartamento in vendita Via Solfatara , Pozzuoli
Salva
Casa.it
1/12
  • Street View
  • Map