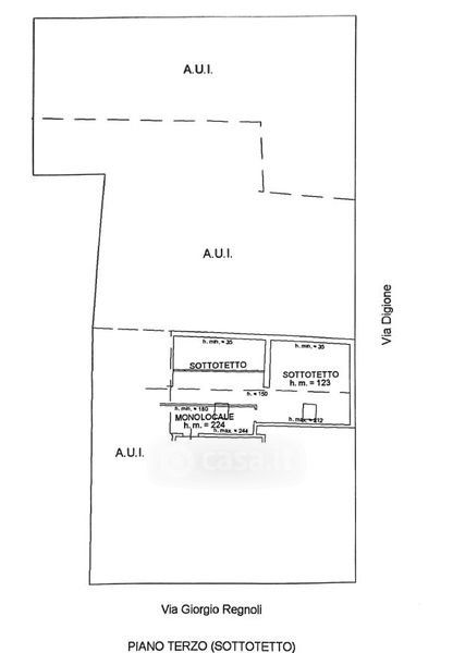
Appartamento in vendita Via Giorgio Regnoli , Forlì
Salva
Casa.it
1/38
  • Street View
  • Map