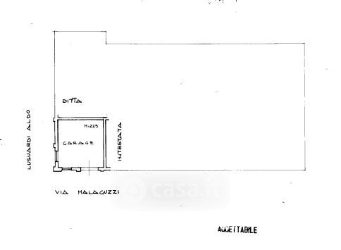
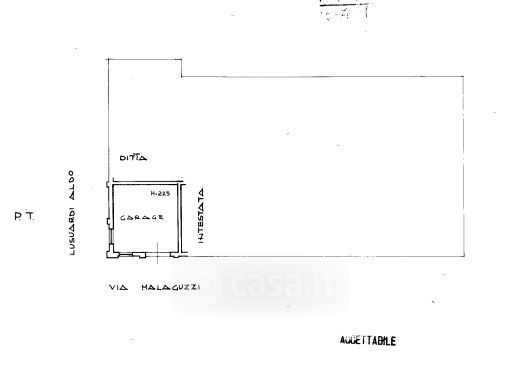
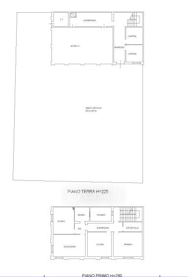
Appartamento in vendita Via Daria Malaguzzi , Reggio Emilia
Salva
Casa.it
1/38
  • Street View
  • Map