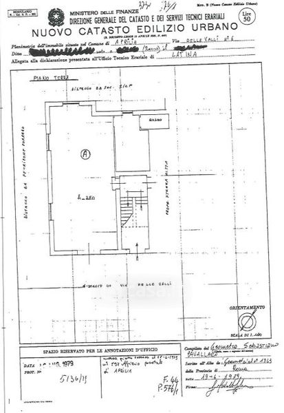
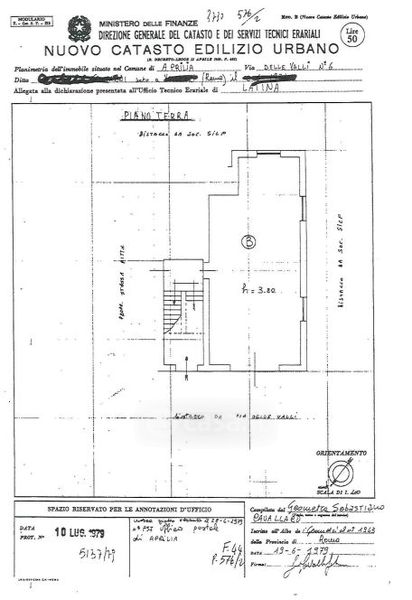
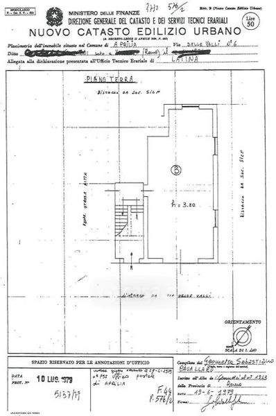
Appartamento in vendita Via delle Valli , Aprilia
Salva
Casa.it
1/36
  • Street View
  • Map