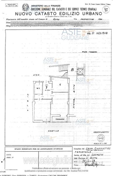
Appartamento in vendita Via Prenestina 364, Roma
Salva
Casa.it
1/24
  • Street View
  • Map