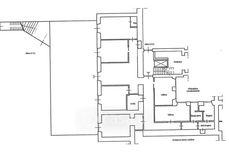
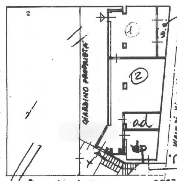
Appartamento in vendita Viale di Villa Massimo , Roma
Salva
Casa.it
1/7
  • Street View
  • Map