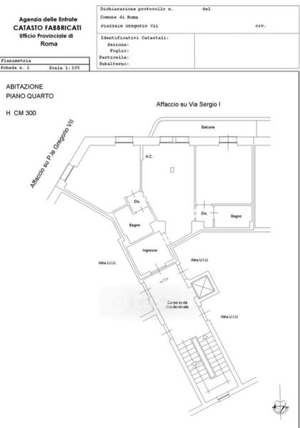
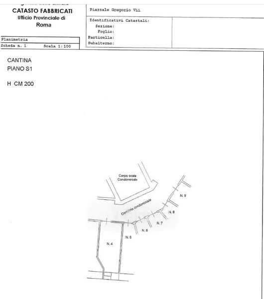
Appartamento in vendita Piazzale Gregorio VII , Roma
Salva
Casa.it
1/24
  • Street View
  • Map