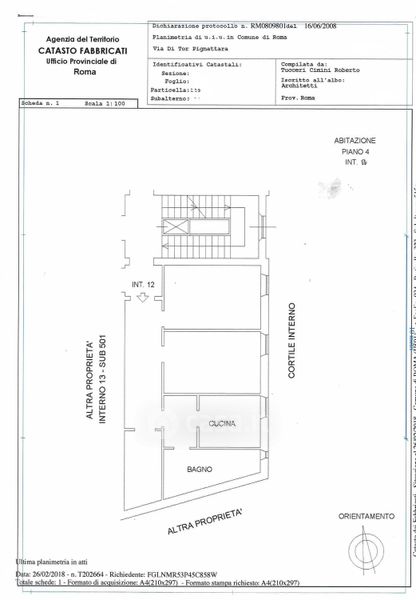
Appartamento in vendita Via di Tor Pignattara 187, Roma
Salva
Casa.it
1/33
  • Street View
  • Map