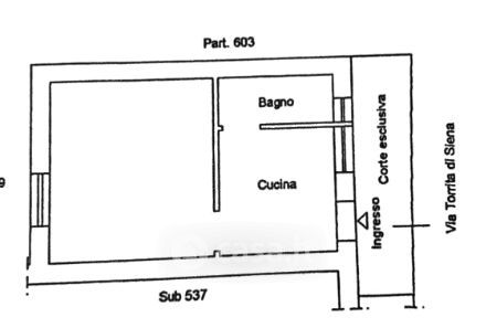
Appartamento in vendita Via Torrita di Siena 1, Roma
Salva
Casa.it
1/22
  • Street View
  • Map