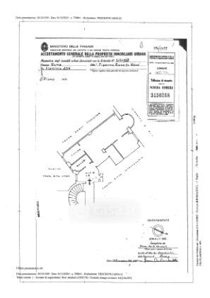
Appartamento in vendita Via Flaminia 405, Roma
Salva
Casa.it
1/52
  • Street View
  • Map