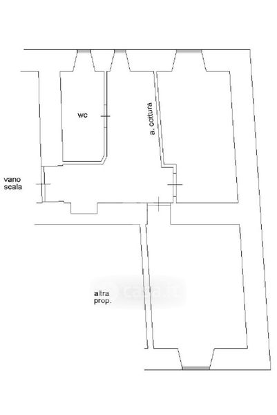
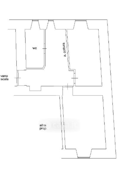
Appartamento in vendita Via di Tor Pignattara 190, Roma
Salva
Casa.it
1/17
  • Street View
  • Map