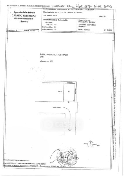
Appartamento in vendita Via Marco Polo 51, Andora
Salva
Casa.it
1/27
  • Street View
  • Map