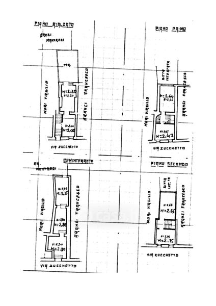
Appartamento in vendita Via zucchetto 41, Beverino
Salva
Casa.it
1/48
  • Street View
  • Map