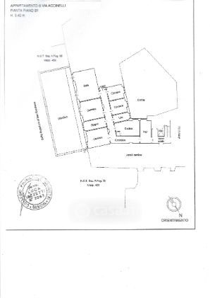
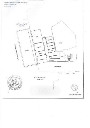
Appartamento in vendita Via Accinelli 7, Genova
Salva
Casa.it
1/40
  • Street View
  • Map