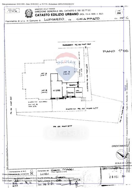
Appartamento in vendita Via Chiappato , Lumarzo
Salva
Casa.it
1/30
  • Street View
  • Map