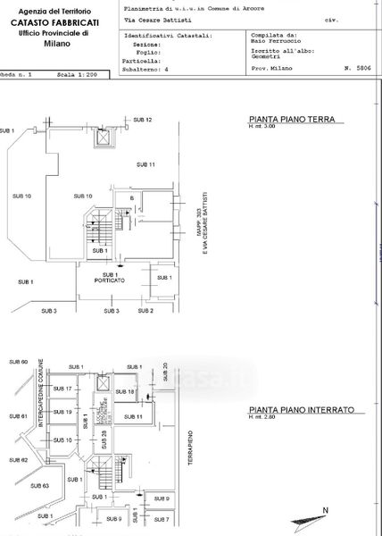
Appartamento in vendita Via Cesare Battisti 28, Arcore
Salva
Casa.it
1/23
  • Street View
  • Map