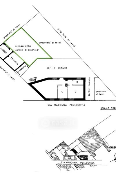
Appartamento in vendita Via Madonna Pellegrina 202, Bareggio
Salva
Casa.it
1/21
  • Street View
  • Map