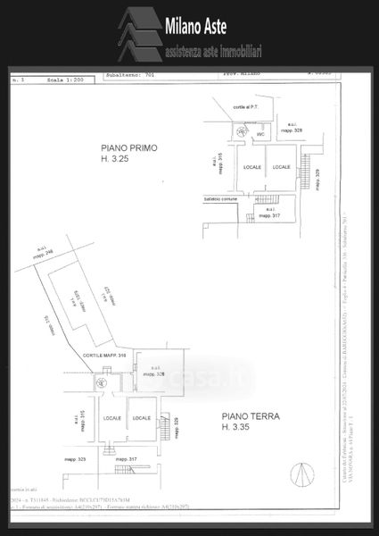
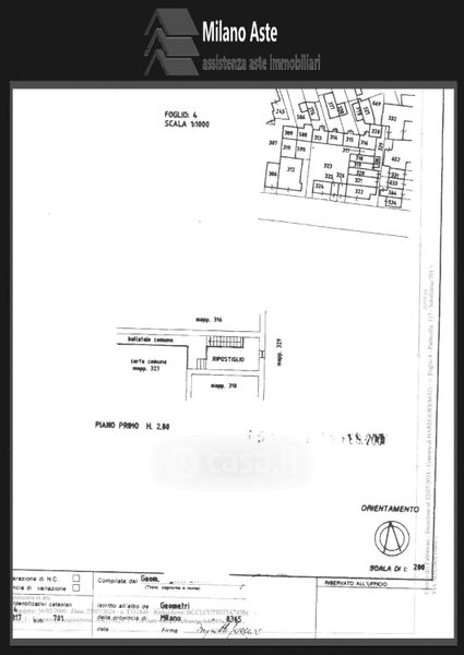
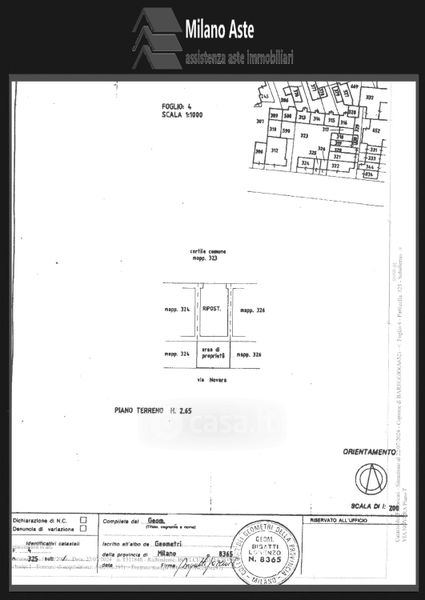
Appartamento in vendita Via Novara 44, Bareggio
Salva
Casa.it
1/22
  • Street View
  • Map