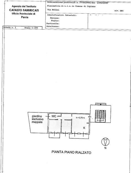
Appartamento in vendita Via Mulino 6, Copiano
Salva
Casa.it
1/37
  • Street View
  • Map