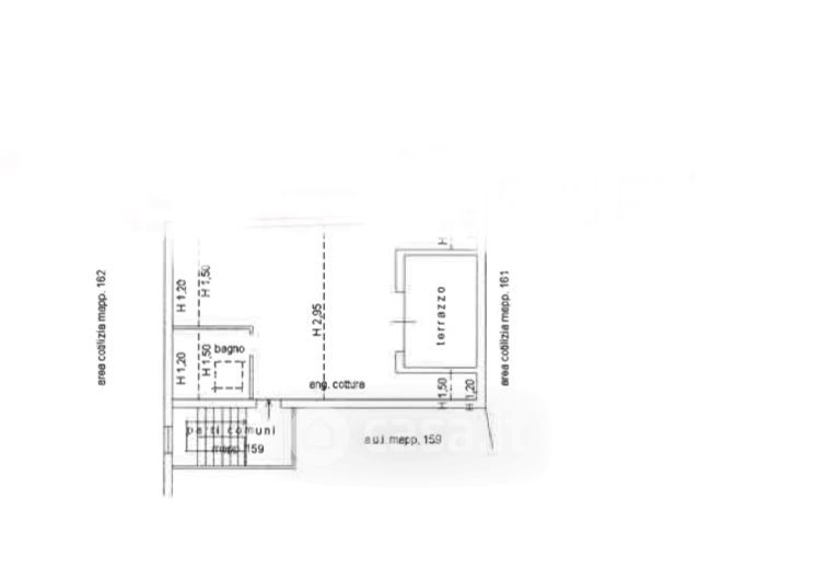
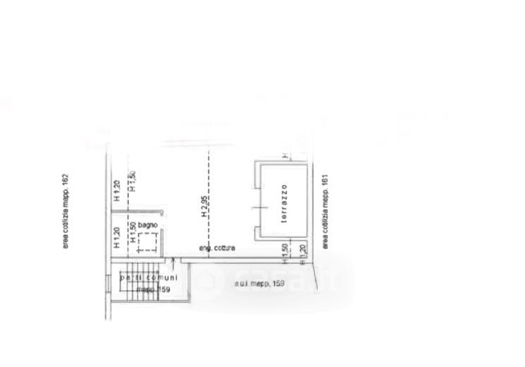
Appartamento in vendita Via Silvio Pellico 12, Cornate d'Adda
Salva
Casa.it
1/25
  • Street View
  • Map