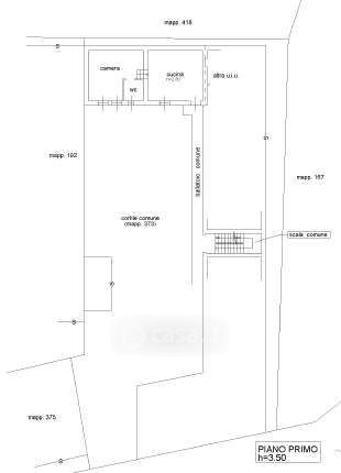
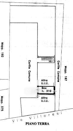
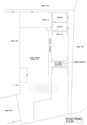
Appartamento in vendita Via E. Villoresi 3, Cuggiono
Salva
Casa.it
1/13
  • Street View
  • Map