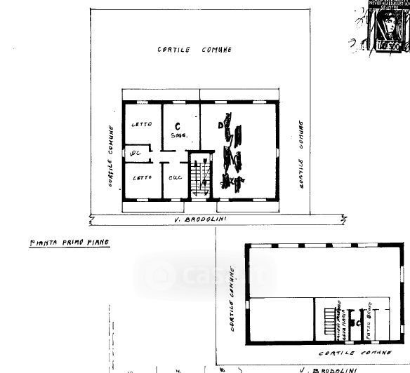
Appartamento in vendita Via Giacomo Brodolini 3, Dairago
Salva
Casa.it
1/23
  • Street View
  • Map