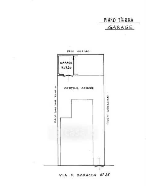
Appartamento in vendita Via Francesco Baracca , Ghedi
Salva
Casa.it
1/4
  • Street View
  • Map