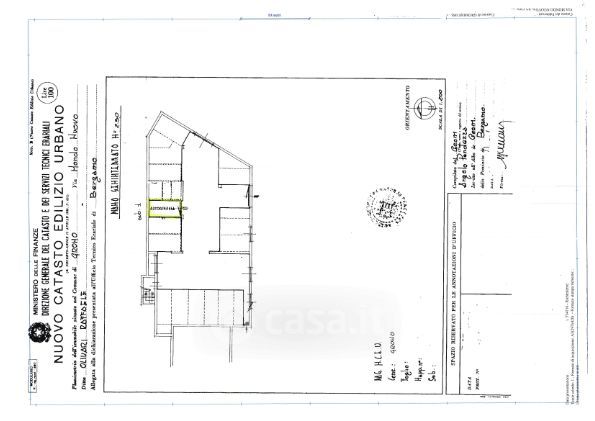
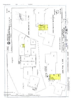
Appartamento in vendita Via Mondo Nuovo , Gromo
Salva
Casa.it
1/23
  • Street View
  • Map