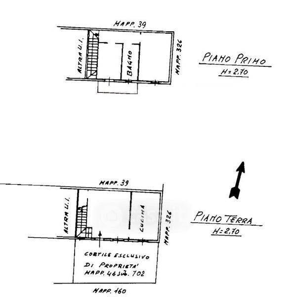
Appartamento in vendita Via Carlo Alberto 22, Lacchiarella
Salva
Casa.it
1/16
  • Street View
  • Map