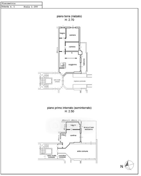
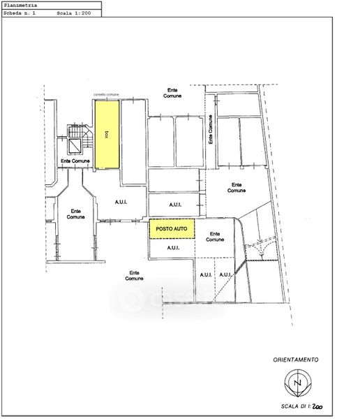
Appartamento in vendita Via Filippo Gerbino 27, Lentate sul Seveso
Salva
Casa.it
1/35
  • Street View
  • Map