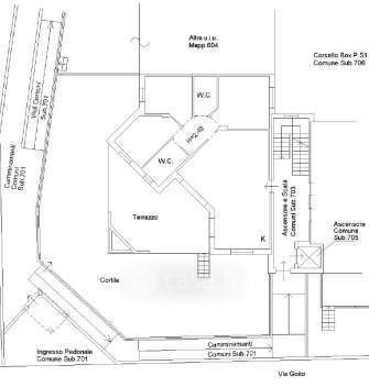
Appartamento in vendita Via Goito , Magenta
Salva
Casa.it
1/31
  • Street View
  • Map