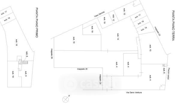
Appartamento in vendita Piazza Caduti , Mariana Mantovana
Salva
Casa.it
1/17
  • Street View
  • Map