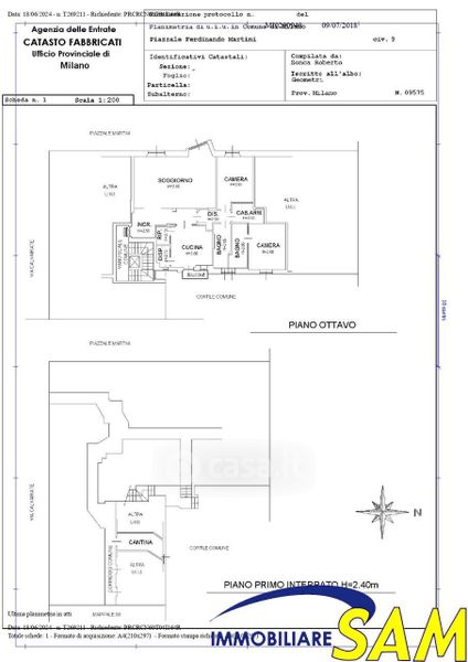
Appartamento in vendita Piazzale Ferdinando Martini 9, Milano
Salva
Casa.it
1/30
  • Street View
  • Map