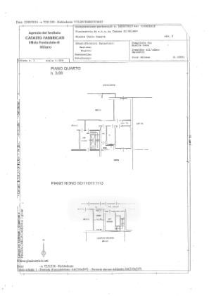
Appartamento in vendita Piazza Carlo Caneva 3, Milano
Salva
Casa.it
1/12
  • Street View
  • Map