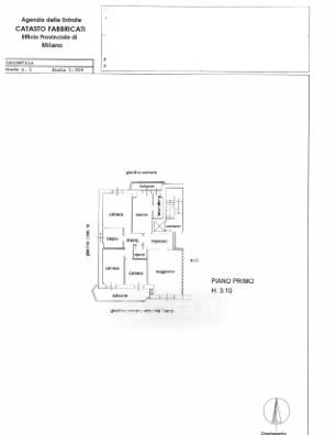
Appartamento in vendita Via Teano 16, Milano
Salva
Casa.it
1/18
  • Street View
  • Map