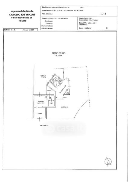
Appartamento in affitto Via Privata Pirano 9, Milano
Salva
Casa.it
1/19
  • Street View
  • Map