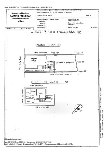
Appartamento in vendita Viale Luigi Bodio 9, Milano
Salva
Casa.it
1/25
  • Street View
  • Map