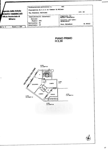
Appartamento in affitto Via Fratelli Salvioni 14, Milano
Salva
Casa.it
1/18
  • Street View
  • Map