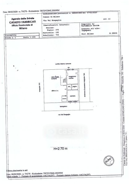
Appartamento in affitto Via Val Bregaglia 13, Milano
Salva
Casa.it
1/21
  • Street View
  • Map