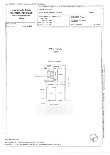
Appartamento in affitto Via Nicola Antonio Porpora 89, Milano
Salva
Casa.it
1/42
  • Street View
  • Map