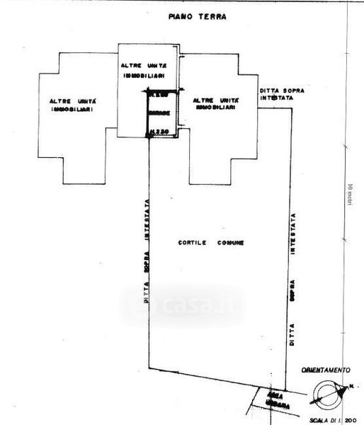
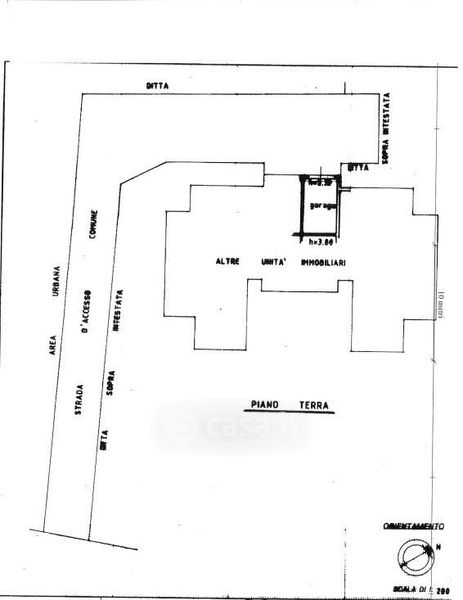
Appartamento in vendita Via Giovanni Metelli , Padenghe sul Garda
Salva
Casa.it
1/14
  • Street View
  • Map