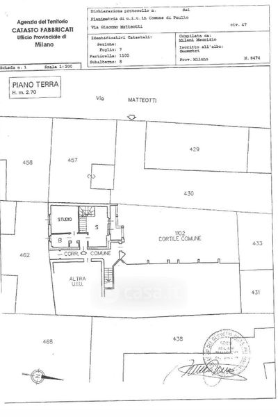
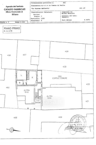
Appartamento in vendita Via G. Matteotti 47, Paullo
Salva
Casa.it
1/31
  • Street View
  • Map