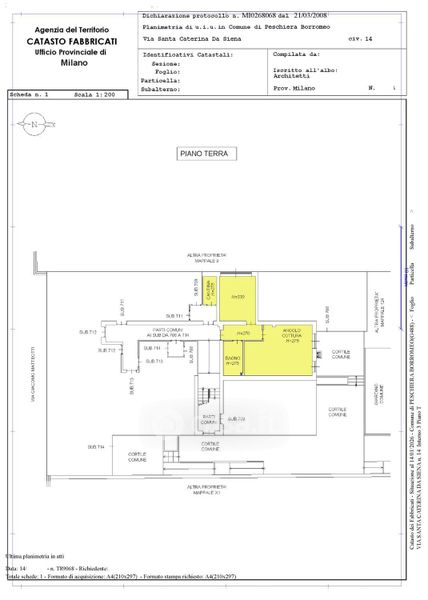
Appartamento in vendita Via Santa Caterina da Siena 14, Peschiera Borromeo
Salva
Casa.it
1/18
  • Street View
  • Map