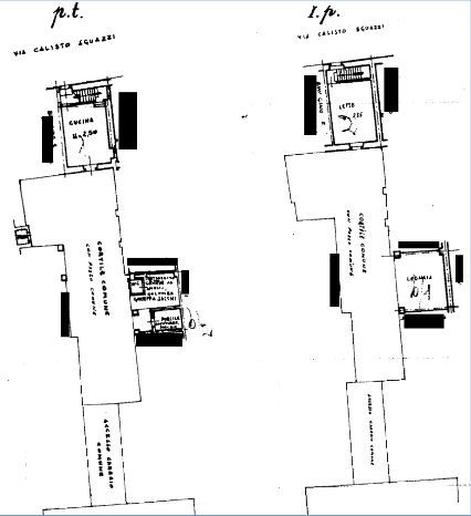
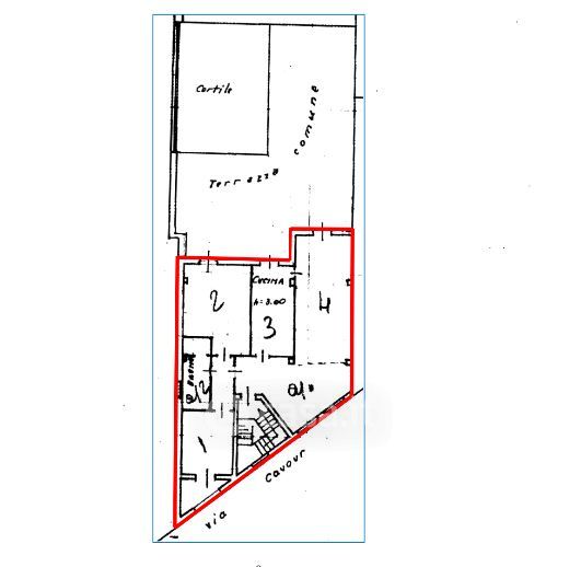
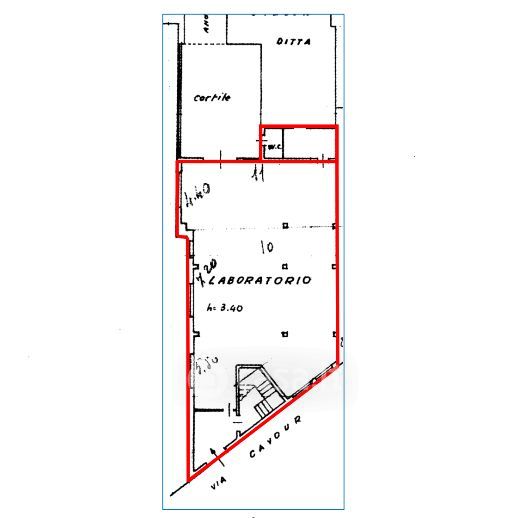
Appartamento in vendita Via Calisto Sguazzi , Robecco d'Oglio
Salva
Casa.it
1/43
  • Street View
  • Map