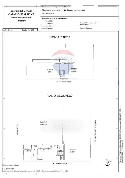
Appartamento in vendita Via Umberto I 94, Seregno
Salva
Casa.it
1/37
  • Street View
  • Map