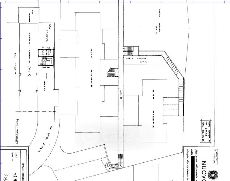
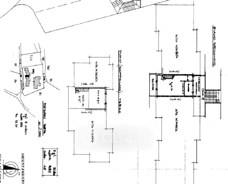
Appartamento in vendita Via Colle Aperto , Sovere
Salva
Casa.it
1/38
  • Street View
  • Map