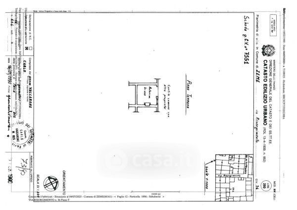
Appartamento in vendita Via Risorgimento 36, Zeme
Salva
Casa.it
1/18
  • Street View
  • Map