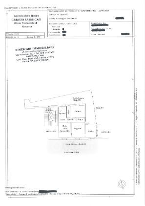
Appartamento in vendita Corso Giuseppe Garibaldi , Ancona
Salva
Casa.it
1/17
  • Street View
  • Map