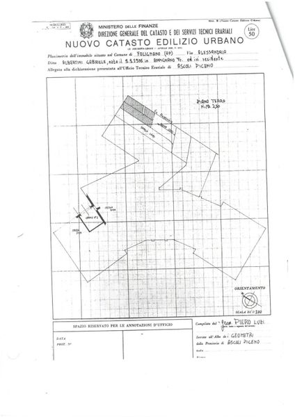
Appartamento in vendita Via Alessandria 36, Folignano
Salva
Casa.it
1/47
  • Street View
  • Map